JAMAICA FUE DECLARADA «ZONA CATASTRÓFICA» Y EL IMPACTO DEL HURACÁN MELISSA QUEDÓ REGISTRADO EN VIDEO
PORTICO NOTICIAS 3644-405972 / 3644-404921 _PORTICO FM 3644-688080
Se trata del tercer huracán de categoría 5 de esta temporada en el Atlántico, después de Erin y Humberto, pero es el primero en tocar tierra. Hasta ahora, por lo menos nueve personas han muerto a causa de este fenómeno de la naturaleza: tres en Jamaica, tres en Haití, dos en Panamá y uno en República Dominicana.
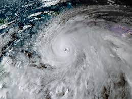
El huracán Melissa llegó a Jamaica poco después del mediodía, con vientos máximos cercanos a los 295 kilómetros por hora, marejadas y lluvias torrenciales este martes 28 de octubre. Afortunadamente, por la tarde comenzó a perder fuerza y bajó de categoría 5 a 4, según detalló el Centro Nacional de Huracanes de Estados Unidos (NHC, en inglés), sin embargo, los videos de la destrucción que causó son realmente impactantes y el Gobierno declaró a la isla «zona catastrófica».
Según las autoridades jamaicanas, el ojo del huracán tocó tierra a las 12:02 hora local en Westmoreland, un distrito que limita con Saint Elizabeth. Es “uno de los impactos de huracán más potentes registrados en la cuenca del Atlántico”, remarcó NHC, de acuerdo al reporte del sitio DW.
Andrew Holness, primer ministro de Jamaica, declaró este martes a la isla como “zona catastrófica”, y anunció que tomó esa decisión siguiendo el consejo de los servicios de emergencia y las autoridades locales, explicando que estas medidas son “nuevos pasos legales para proteger vidas” en un comunicado que publicó en su cuenta oficial de la red social X.
El mandatario agregó: «La prioridad principal del Gobierno siempre ha sido la seguridad y el bienestar de todos los jamaicanos. Actuamos preventivamente con la declaración de zona amenazada cuando el sistema se acercaba a Jamaica. El huracán Melissa, un sistema de categoría 5 sin precedentes, ya está aquí, atravesando la isla. Esto justifica una nueva disposición legislativa”.
Y cerró diciendo que el objetivo es “continuar manteniendo la estabilidad de forma proactiva, protegiendo a los consumidores y previniendo cualquier explotación en un momento en que los ciudadanos están asegurando alimentos, agua y suministros. Estas órdenes otorgan al Gobierno las herramientas para continuar gestionando nuestra respuesta al huracán Melissa”.
El número de personas en refugios ha aumentado a casi 6.000, según el ministro Desmond McKenzi mientras el huracán golpea la isla. El periódico Jamaica Star indicó que el Ejecutivo espera que más de 50.000 personas se vean desplazadas de sus hogares por este fenómeno meteorológico. Por su parte, Anne-Claire Fontan, de la Organización Meteorológica Mundial, remarcó: “Para Jamaica será la tormenta del siglo hasta ahora”.
Según la cadena CNN, se espera que Melissa siga moviéndose hacia el norte-noreste y toque tierra en el sureste de Cuba durante la noche, como una tormenta de categoría 4 o 3 de alta intensidad.

La fuerza de Melissa y los muertos que provocó hasta ahora
Se trata del tercer huracán de categoría 5 de esta temporada en el Atlántico, tras Erin y Humberto, pero es el primero en tocar tierra. Melissa es mucho más fuerte que Katrina, que en el año 2005 destruyó el sur de Estados Unidos.
Hasta ahora, por lo menos nueve personas han perdido la vida a causa de este fenómeno natural: tres en Jamaica, dos en Panamá, tres en Haití y uno en República Dominicana.